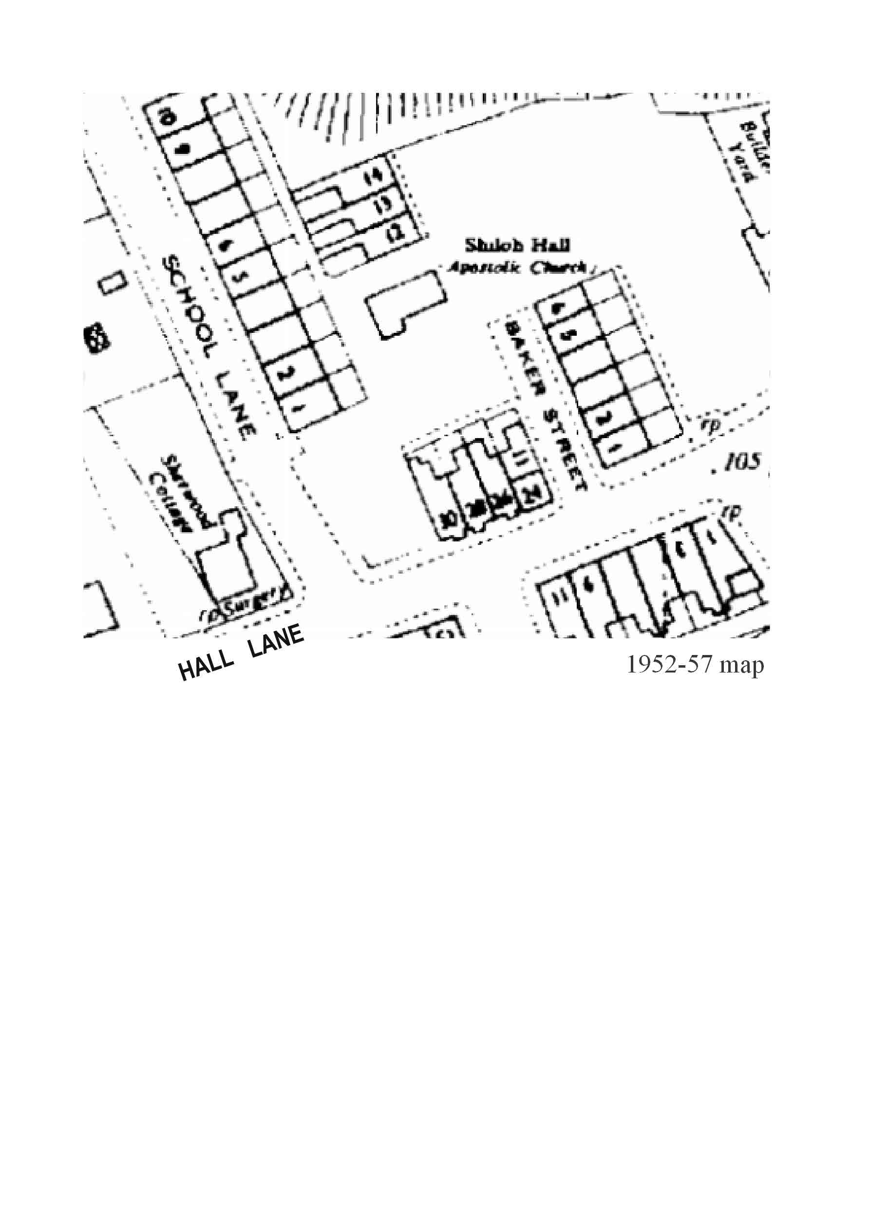
Brothers and sisters,I would be extremely grateful for any help whatsoever with the following. Two of my ancestors show up on the 1881 census in Baker St.,off Hall Lane N S?,
Huyton With Roby.
The 1911 census has another relative living in School House,Top Row, Tarbock.
Is it possible to find out where these addresses where and if they still exist?
Muchas gracios y adios.
Tom.:handclap:
